조황관리HOME / 조황관리 / 상세정보

제목 : 11월13일 영진호 우럭 조황입니다.
등록일 : 2025-11-13



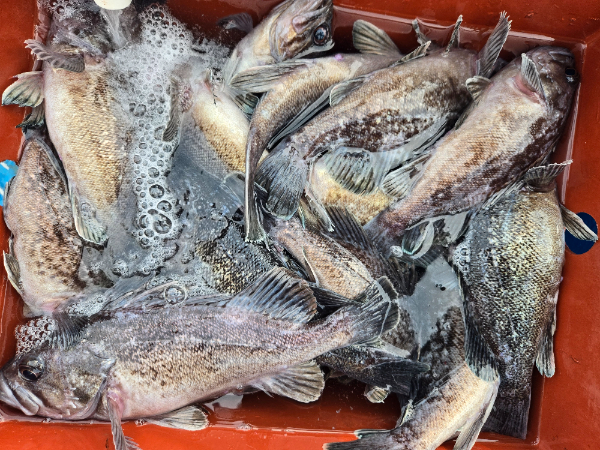
6명 독배 조황입니다. 오전에 만쿨하시고 쭈.갑 드실만큼 잡고 1시 조기퇴근 하시자고 하네요. 조사님들 고생많으셨습니다. 안전귀가하세요^^
1000057788.jpg


1000057790.jpg


1000057782.jpg


1000057787.jpg


1000057789.jpg


1000057786.jpg


1000057784.jpg


1000057774.jpg


1000057777.jpg


1000057771.jpg


1000057762.jpg


1000057763.jpg


1000057764.jpg


1000057772.jpg


1000057776.jpg


1000057779.jpg


1000057780.jpg


1000057781.jpg



======= 장고항 영진호 예약문의 ==========

예약문의 : 010-8883-9522
오시는길 : 충남 당진시 장고항로 309
홈페이지 : http://yungjin.sunsang24.com/
계좌안내 : 수협/0010-8883-9522/송현수
Top